Цей тур починається на пляжі, відомому як «Ель Рекодо»; але не тому, що там грає група, а тому, що затока має таку природну форму, і в цьому місці є багато човнів, які стоять на якорі, щоб виходити і займатися різними видами діяльності. (Фото зроблено з пірсу Constituciónntes, щоб знайти вказаний пляж. Пляж, звідки відправляється цей тур, розташований у центрі зображення праворуч, за білою будівлею, яка на передньому плані цієї фотографії).
Ми прибули на 14 Північну вулицю, щоб розпочати цей чудовий досвід, який ми пережили групою під час чудової екскурсії прекрасними бірюзовими водами мексиканського Карибського басейну.
І ось човни готові, чекають на нас!
Під час подорожі до місця призначення, «рифу ІНАХ», ми пройшли повз кілька неймовірно красивих місць, таких як бірюзово-блакитний пляж, настільки інтенсивний, що вам хочеться туди потрапити.
Пізніше ми пройшли перед новим Xcaret Art Hotel, звідки відкрився вражаючий вид.
Зовсім поруч знаходиться парк Шкарет, де можна побачити відому вежу; Його також можна побачити з шосе, що веде від Канкуна до Тулума. До речі, у мене також є квитки в будь-який Xcaret Group Park, які дешевші, ніж у касі. Тут ви можете побачити ціни.
І нарешті! Ми прибули до місця призначення, El Arrecife INAH.
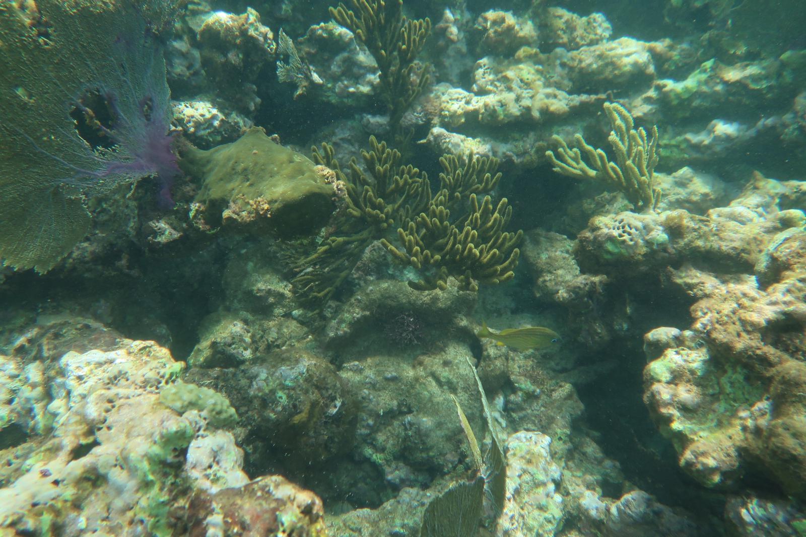
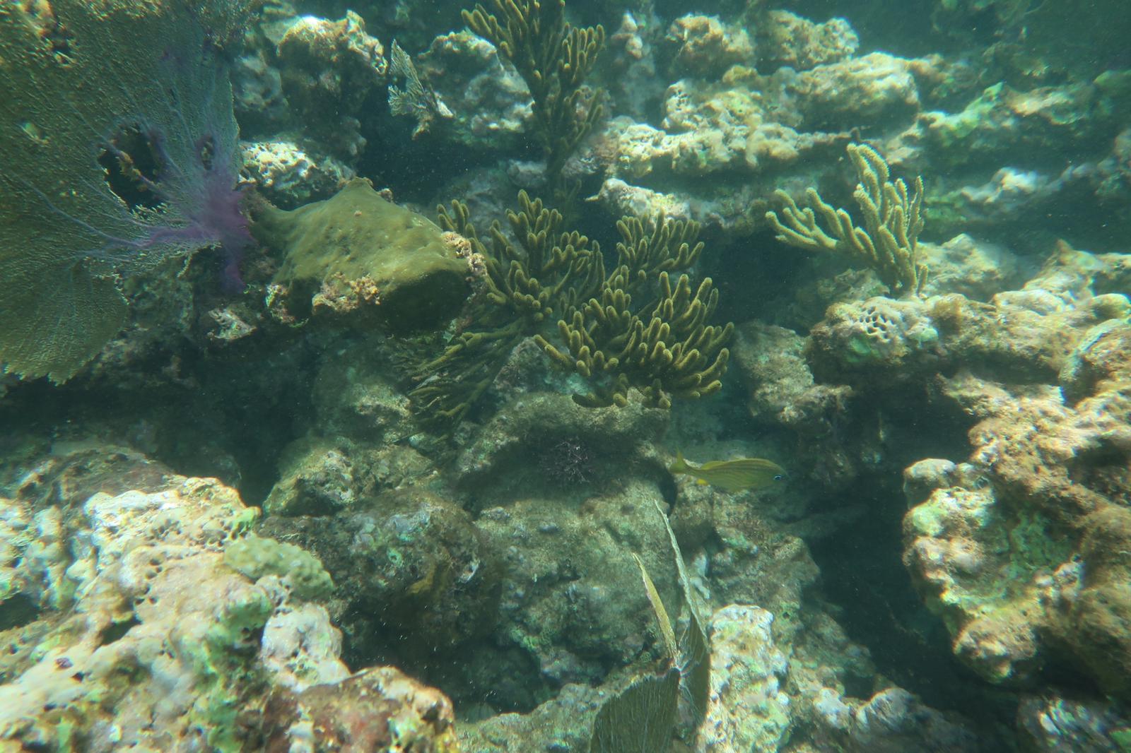
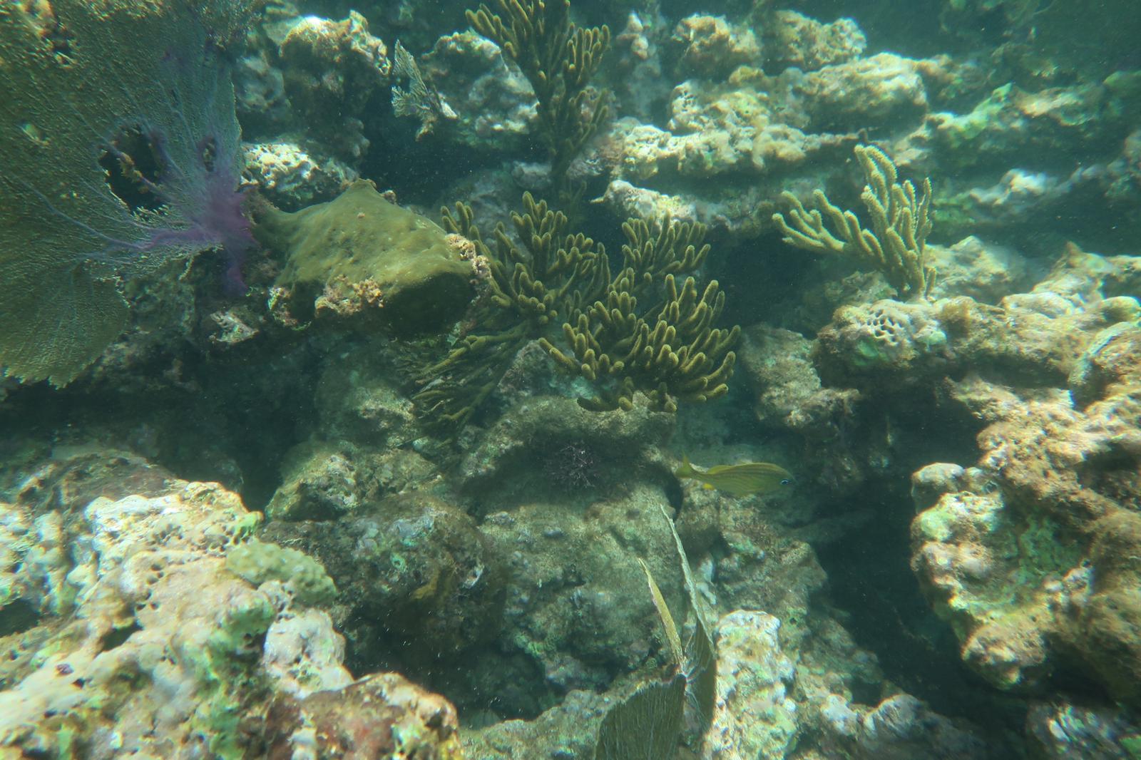
Коли ми прибули, ми одягли спорядження для підводного плавання, щоб зайти у воду та насолодитися цим чудовим підводним досвідом, який можна відчути лише в цих місцях. Качки до води!
Тут я ділюся фотографіями цієї чудової пригоди.
Закінчивши підводне плавання, ми попрямували до прихованого сеноту в тому самому районі. Вам доведеться трохи пройти, щоб дістатися; але повірте, відвідати це чудове місце варто.
Ми приїхали!
Насолоджуйтеся краєвидом з такого захоплюючого місця!
Після цього неймовірного досвіду ми повернулися точно так само, як і виїхали.
Повернувшись, ми зрозуміли, що в цьому районі є багато човнів, оскільки він дуже відвідуваний завдяки красивим бірюзовим водам і чудовому рифу.
Я ділюся з вами галереєю зображень, які найбільше привернули мою увагу в цій неймовірній подорожі.
Зображення та відео, показані в цьому блозі, зроблені Річардом та людьми, яким сподобався цей тур. Варто зазначити, що побачити фотографії та відео – це не те саме, що відчути це на власні очі. Отже, змагання, я запрошую вас пережити цей чудовий досвід, з гарантією, що він буде незабутнім!
І ви можете купити його тут, оскільки він має мою гарантію.
Залишаю вам точне місце відправлення.
Виїзди щодня о 8:00
Будь-які питання, я до ваших послуг.
Цей тур коштував нам 800 доларів США песо на особу і включає:
- 12 пляшок з водою по 600 мл.
- 12 банок безалкогольних напоїв по 355 мл.
- Спорядження для підводного плавання (жилет, козирок, трубка та ласти); все належним чином продезінфіковано.
- Екскурсія у супроводі сертифікованого гіда.
- Ви можете принести все, що забажаєте, крім того, що включено (пиво, рататуй, їжу тощо).











































