Этот тур начинается на пляже, известном как «Эль-Рекодо»; но не потому, что там играет оркестр, а потому, что залив имеет естественную форму, и в этом месте стоит на якоре множество лодок, на которых можно выходить и заниматься различными видами деятельности. (Фото сделано с пирса Конститусьонтес, чтобы найти указанный пляж. Пляж, с которого начинается этот тур, расположен в центре изображения справа, за белым зданием, которое находится на переднем плане на этой фотографии).
Мы прибыли на Норт-стрит, 14, чтобы начать этот замечательный опыт, который мы прожили всей группой в этом замечательном туре по прекрасным бирюзовым водам мексиканского Карибского моря.
И вот лодки готовы и ждут нас!
По пути к месту назначения, «Рифу INAH», мы миновали несколько невероятно красивых мест, таких как бирюзово-голубой пляж, настолько яркий, что хочется войти туда.
Позже мы прошли перед новым арт-отелем Xcaret, откуда нам открылся впечатляющий вид.
Прямо по соседству находится парк Шкарет, где можно увидеть знаменитую башню; Его также можно увидеть с шоссе, идущего из Канкуна в Тулум. Кстати, у меня тоже есть билеты в любой из парков Xcaret Group, которые дешевле, чем в кассе. Здесь вы можете увидеть цены.
И наконец! Мы прибыли в пункт назначения — Эль-Арресифе INAH.
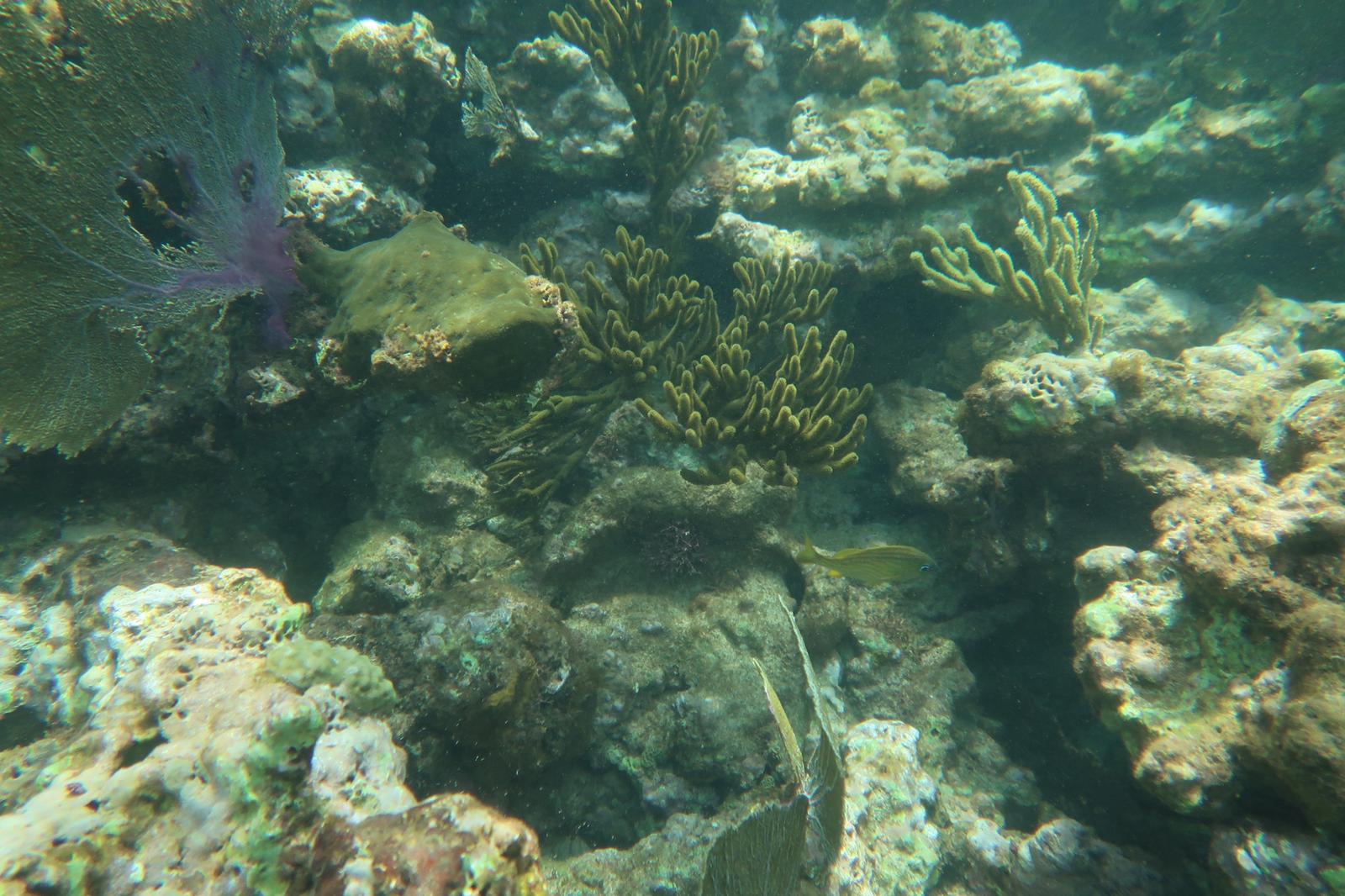
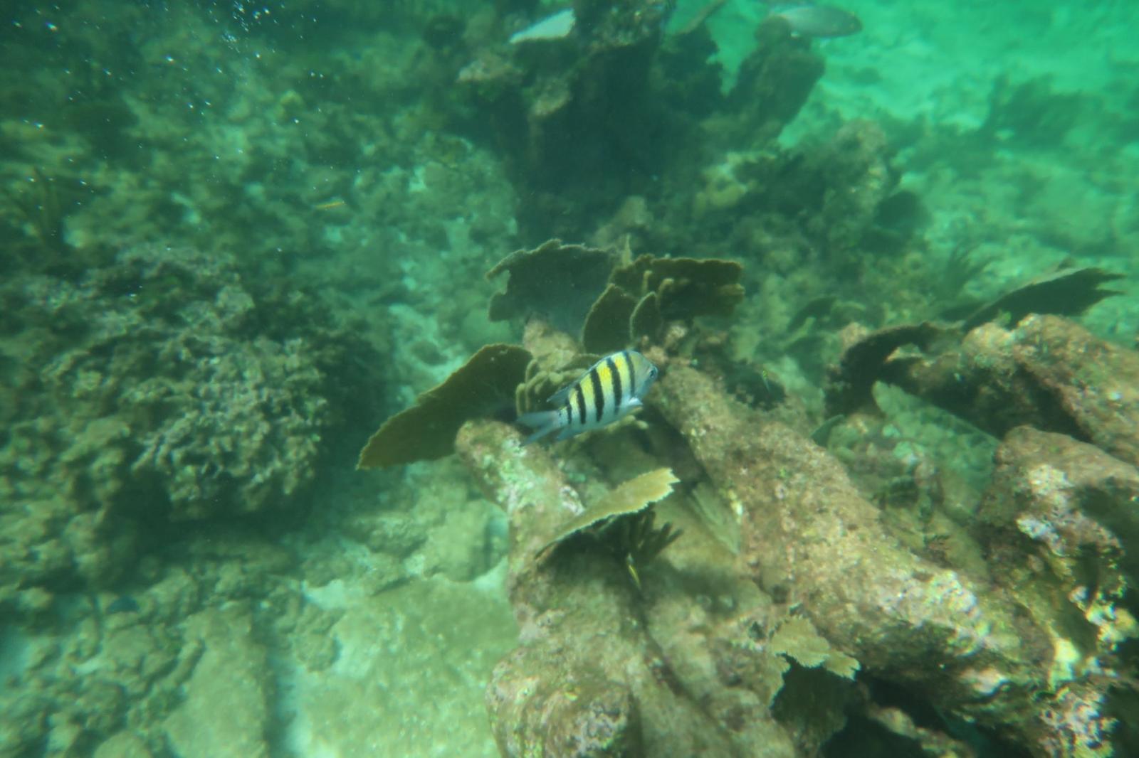
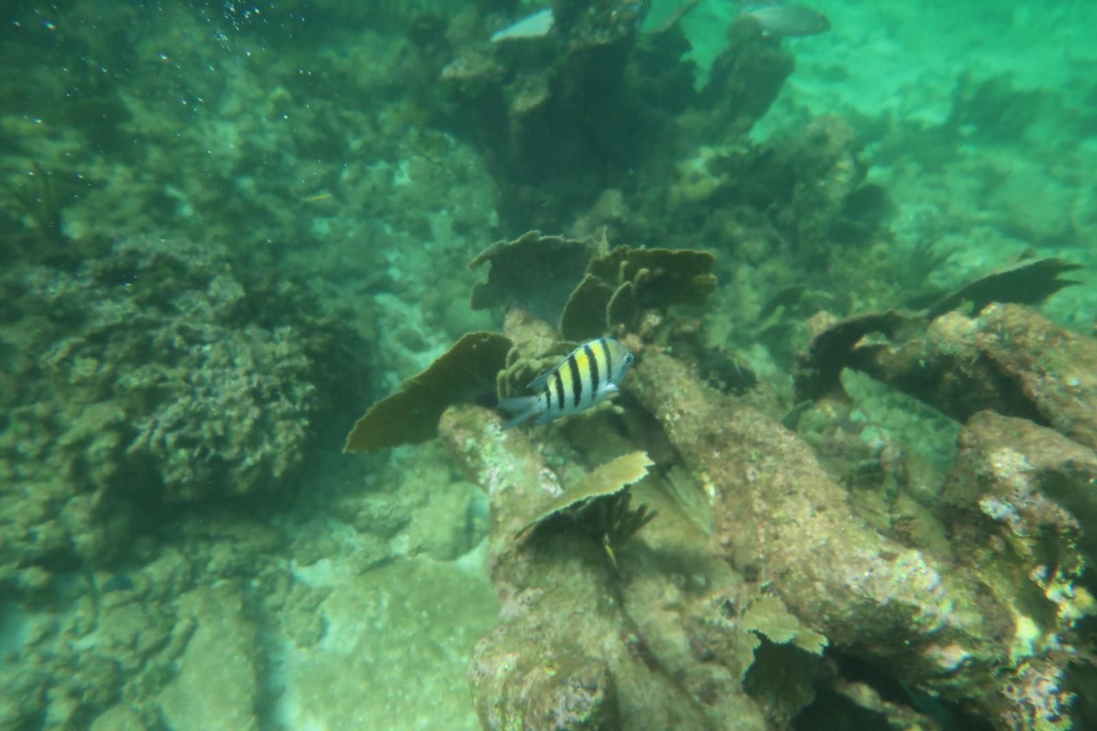
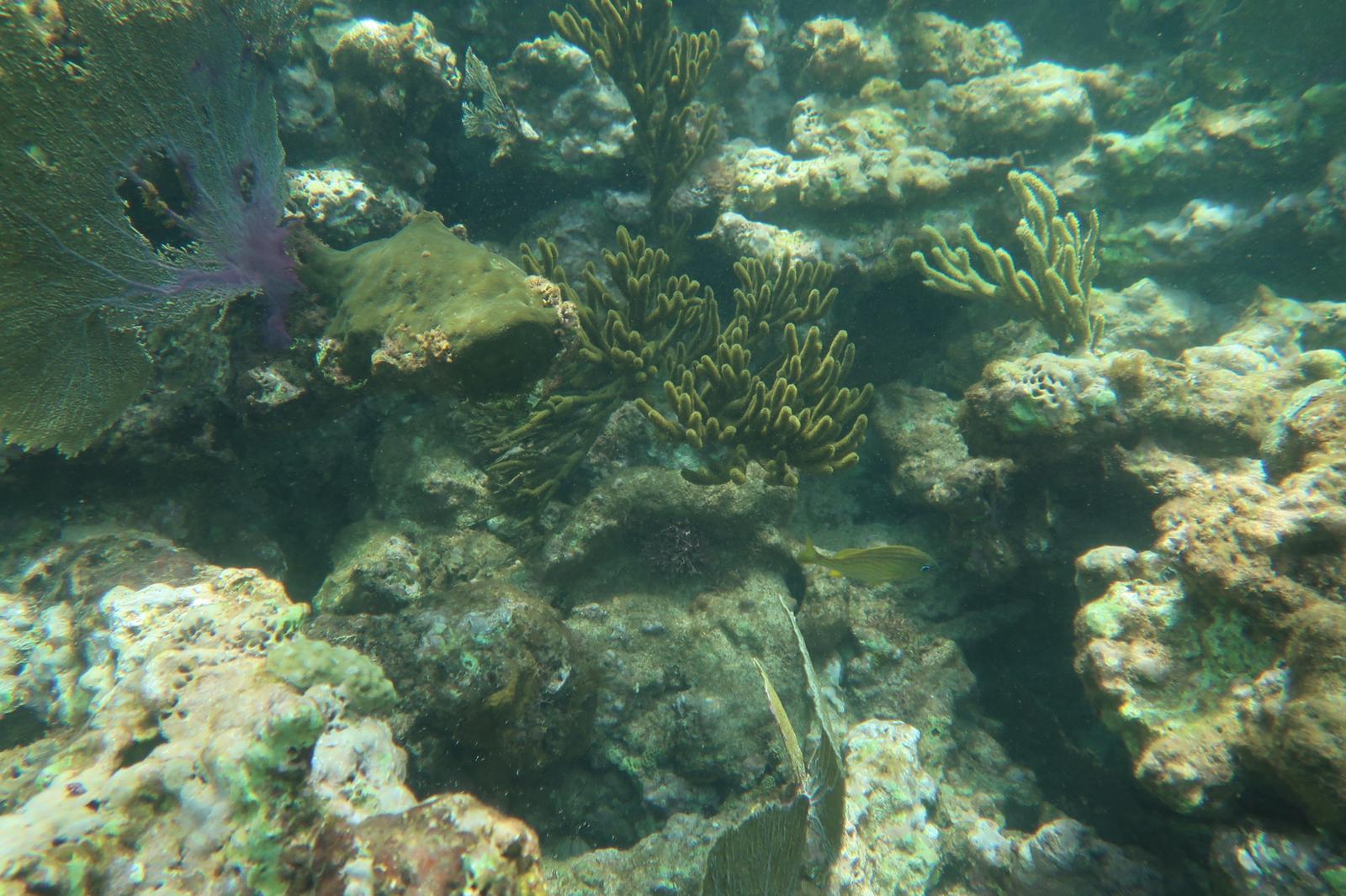
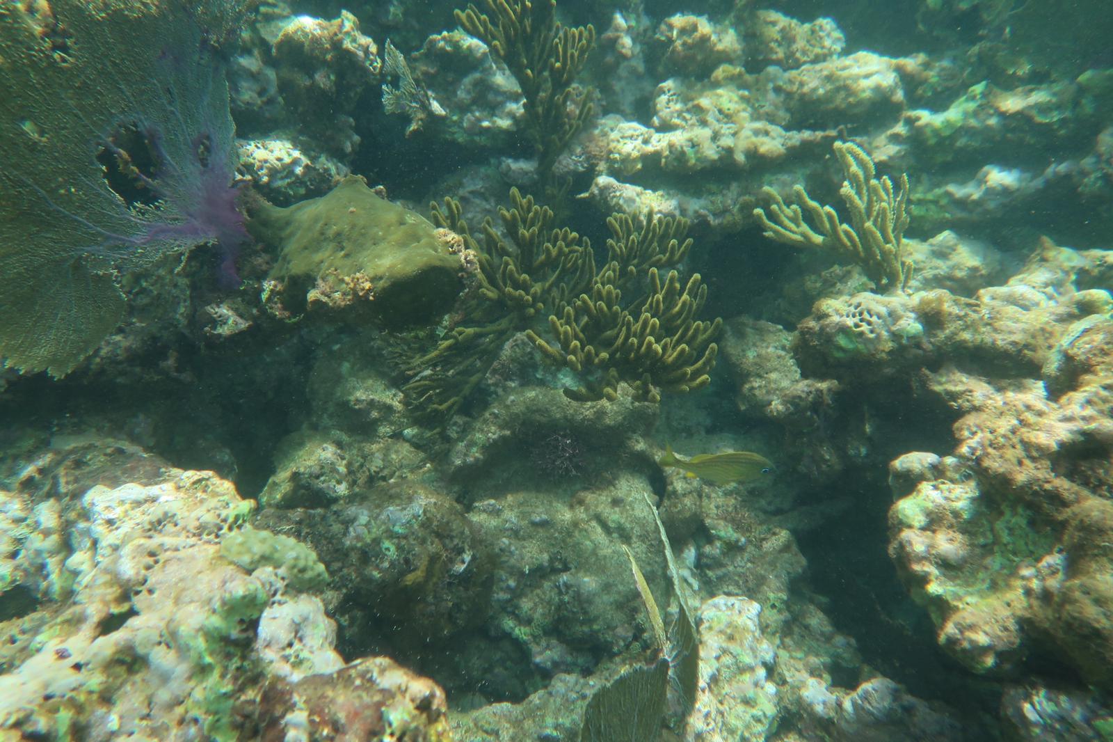
По прибытии мы надеваем снаряжение для подводного плавания, чтобы войти в воду и насладиться этим чудесным подводным опытом, который можно испытать только в этих местах. Утки к воде!
Здесь я делюсь фотографиями этого великолепного приключения.
Закончив подводное плавание, мы направились к скрытому сеноту в том же районе. Вам придется немного пройти, чтобы добраться туда; но поверьте, посетить это чудесное место очень стоит.
Мы прибыли!
Наслаждайтесь видом из такого захватывающего места!
После этого невероятного опыта мы вернулись точно так же, как и ушли.
По возвращении мы понимаем, что в этом районе много лодок, поскольку он очень популярен из-за красивых бирюзовых вод и чудесного рифа.
Делюсь с вами галереей изображений того, что больше всего привлекло мое внимание в этом невероятном путешествии.
Изображения и видео, представленные в этом блоге, сняты Ричардом и людьми, которым понравился этот тур. Стоит отметить, что увидеть фотографии и видео — это не то же самое, что увидеть это своими глазами. Итак, гонка, я приглашаю вас пережить этот чудесный опыт, с гарантией, что он будет незабываемым!
И купить его можно здесь, так как на него есть моя гарантия.
Я оставляю вам точное место отправления.
Ежедневные отправления в 8:00 утра.
Есть вопросы, я к вашим услугам.
Этот тур обошелся нам в 800 песо на человека и включает в себя:
- 12 бутылок с водой по 600 мл.
- 12 безалкогольных напитков в банках по 355 мл.
- Снаряжение для подводного плавания (жилет, козырек, трубка и ласты); все как следует продезинфицировано.
- Экскурсия под руководством сертифицированного гида.
- Вы можете принести с собой все, что захотите, кроме того, что включено в стоимость (пиво, рататуй, еда и т. д.).











































