Este passeio começa em uma praia conhecida como “El Recodo”; mas não porque a banda toca lá, mas porque a baía tem aquele formato natural e há muitos barcos ancorados naquele local para sair e praticar diversas atividades. (Foto capturada no cais Constituciónntes para localizar a referida praia. A praia de onde parte este passeio está localizada no centro da imagem à direita, atrás do edifício branco que está em primeiro plano nesta fotografia).
Chegamos na 14 North Street para iniciar essa grande experiência que vivemos em grupo neste maravilhoso passeio pelas lindas águas azul-turquesa do Caribe mexicano.
E aqui estão os barcos prontos, esperando por nós!
Durante o trajeto para chegar ao nosso destino, o “Recife INAH”, passamos por vários lugares incrivelmente lindos, como uma praia azul turquesa, tão intensa que dá vontade de entrar por lá.
Mais tarde, passamos em frente ao novo Xcaret Art Hotel onde vimos uma vista impressionante.
Ao lado fica o Parque Xcaret, onde você pode ver a conhecida torre; Também pode ser avistado da rodovia que vai de Cancún a Tulum. Aliás, também tenho ingressos para qualquer parque do Grupo Xcaret que são mais baratos que na bilheteria. Aqui você pode ver os preços.
E finalmente! Chegamos ao nosso destino, El Arrecife INAH.
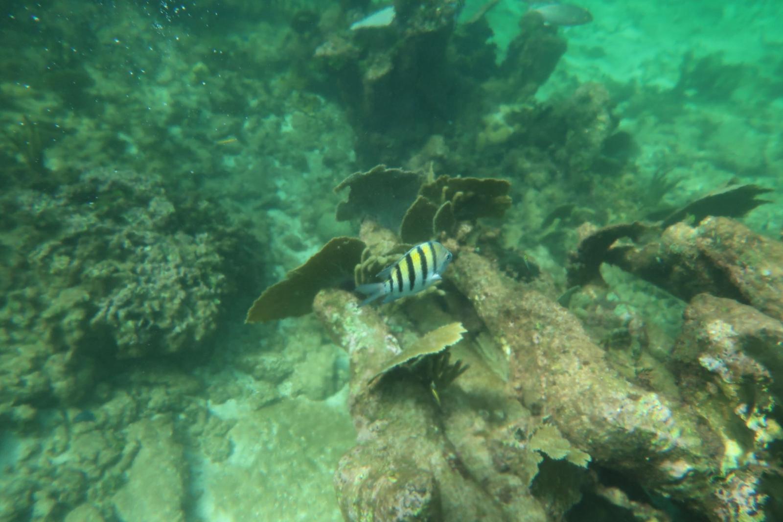
Assim que chegarmos, colocamos o equipamento de snorkeling para entrar na água e desfrutar desta maravilhosa experiência subaquática que você só pode vivenciar nesses locais. Patos para a água!
Aqui partilho algumas fotografias desta magnífica aventura.
Assim que terminamos o mergulho, seguimos em direção a um cenote escondido nesta mesma área. É preciso caminhar um pouco para chegar lá; mas acredite, vale muito a pena visitar esse lugar maravilhoso.
Nós chegamos!
Aproveite a vista de um lugar tão espetacular!
Depois dessa experiência incrível, voltamos exatamente pelo mesmo caminho que saímos.
Ao regressar, percebemos que existem muitos barcos nesta zona, visto que é muito visitada pelas suas belas águas azul-turquesa e por este maravilhoso recife.
Compartilho com vocês uma galeria de imagens em geral do que mais me chamou a atenção nessa incrível jornada.
As imagens e vídeos mostrados neste blog são feitos por Richaard e pelas pessoas que curtiram esse passeio. Vale ressaltar que ver as fotos e vídeos não é a mesma coisa que vivenciar em primeira mão. Então, corrida, te convido a viver essa experiência maravilhosa, com a garantia de que será inesquecível!
E você pode comprar aqui, pois tem minha Garantia.
Deixo-vos o local exato da partida.
Saídas diárias às 8h
Qualquer dúvida estou à sua disposição.
Este passeio custa US$ 800 pesos por pessoa e inclui:
- 12 garrafas de água de 600ml.
- 12 refrigerantes em lata de 355ml.
- Equipamento de mergulho (colete, viseira, tubo e barbatanas); tudo devidamente higienizado.
- Tour conduzido por guia certificado.
- Você pode trazer o que quiser além do que está incluso (cervejas, ratatouille, comida, etc.).











































