このツアーは「エル レコド」として知られるビーチから始まります。しかし、バンドがそこで演奏するからではなく、湾がその自然な形をしていて、そこに出て行ってさまざまな活動を練習するために多くのボートがその場所に停泊しているからです。 (このビーチを見つけるためにコンスティトゥシオンテスの桟橋から撮影した写真。このツアーが出発するビーチは、画像の右側の中央、この写真の前景にある白い建物の後ろにあります)。
私たちは 14 North Street に到着し、メキシコのカリブ海の美しいターコイズブルーの海を巡るこの素晴らしいツアーでグループとして生活するという素晴らしい経験を開始しました。
そしてボートの準備が整い、私たちを待っています!
目的地である「INAHリーフ」にたどり着くまでの道中、思わず入りたくなるようなターコイズブルーのビーチなど、とても美しい場所をいくつか通りました。
その後、新しいシカレ アート ホテルの前を通り、そこで印象的な景色を目にしました。
すぐ隣にはシカレ公園があり、有名な塔が見えます。カンクンからトゥルムに向かう高速道路からも見ることができます。ちなみに、私はチケット売り場よりも安いシカレグループパークのチケットも持っています。 ここで価格を確認できます。
そしてついに!目的地、エル・アレシフェINAHに到着しました。
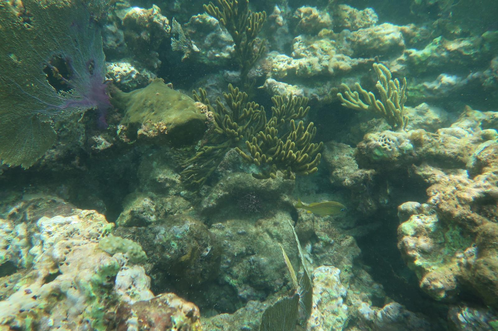
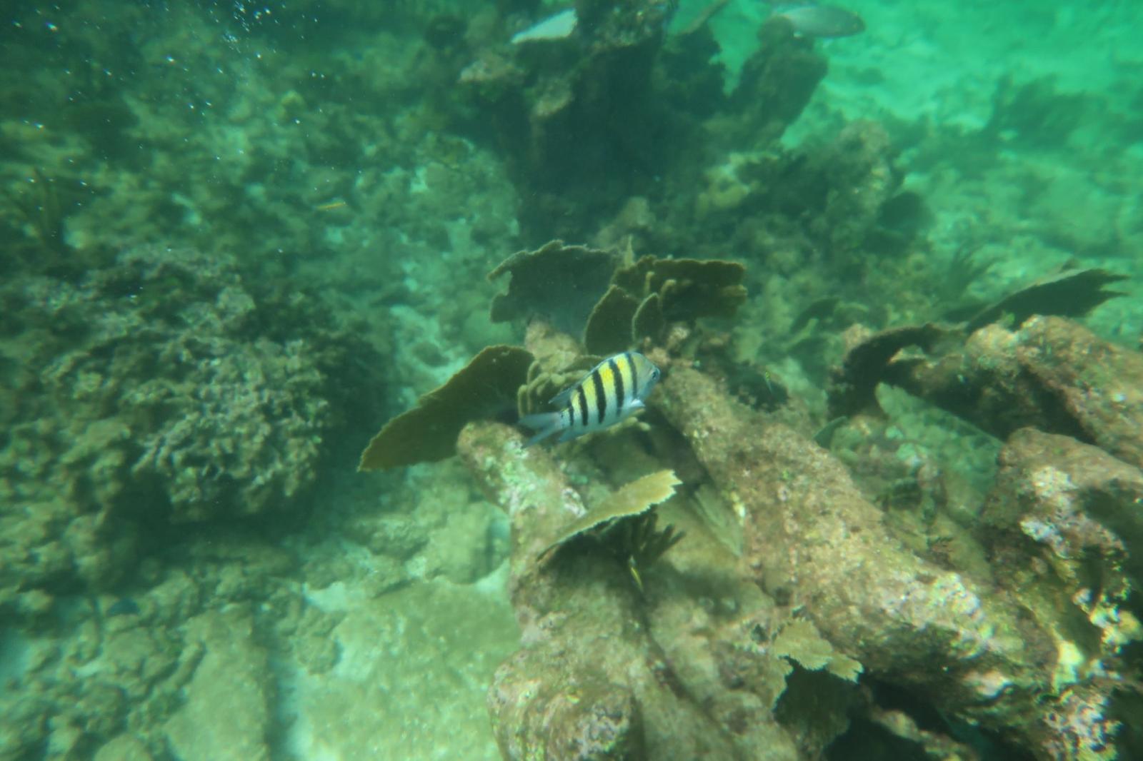
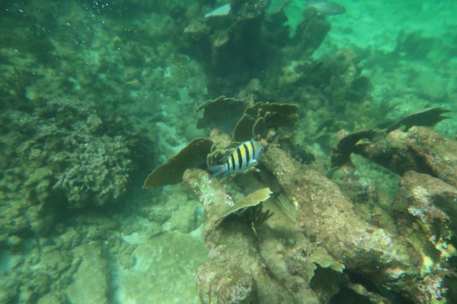
到着したら、シュノーケリング用具を装着して海に入り、この場所でしか体験できない素晴らしい水中体験を楽しみます。アヒルが水へ!
ここでは、この壮大な冒険の写真をいくつか紹介します。
シュノーケリングを終えたら、同じエリアにある隠れたセノーテへ向かいました。そこに行くには少し歩く必要があります。しかし信じてください、この素晴らしい場所を訪れる価値は非常にあります。
到着しました!
素晴らしい場所からの眺めをお楽しみください!
この素晴らしい体験の後、私たちは出発したのと全く同じ道を戻りました。
戻ってくると、このエリアには美しいターコイズブルーの海と素晴らしいサンゴ礁を求めて多くの観光客が訪れるため、ボートがたくさんあることに気づきました。
この素晴らしい旅で最も私の注意を引いたものをまとめた画像ギャラリーを共有します。
このブログに掲載されている画像とビデオは、リチャードとこのツアーを楽しんだ人々によって撮影されたものです。写真やビデオを見ることは、直接体験することと同じではないことに注意してください。ですから、レースの皆さん、この素晴らしい経験をぜひ体験してください。忘れられないものになることは保証されています。
私の保証が付いているので、ここで購入できます。
正確な出発場所をお知らせします。
毎日午前 8 時に出発
ご質問がございましたら、お気軽にお問い合わせください。
このツアーの費用は 1 人あたり 800 ペソで、以下が含まれます。
- 600mlの水ボトル12本。
- 355ml缶ソフトドリンク12本。
- シュノーケリング用具(ベスト、バイザー、チューブ、フィン)すべてが適切に消毒されていること。
- 認定ガイドによるツアー。
- 含まれているもの以外に好きなものを持ち込むことができます(ビール、ラタトゥイユ、食べ物など)。











































