Cette visite commence sur une plage connue sous le nom de « El Recodo » ; mais pas parce que le groupe y joue, mais parce que la baie a cette forme naturelle et qu'il y a de nombreux bateaux ancrés à cet endroit pour sortir et pratiquer diverses activités. (Photo prise depuis la jetée de Constituciónntes pour localiser ladite plage. La plage de départ de cette visite est située au centre de l'image de droite, derrière le bâtiment blanc qui est au premier plan sur cette photo).
Nous sommes arrivés au 14 North Street pour commencer cette belle expérience que nous avons vécue en groupe lors de ce merveilleux tour des magnifiques eaux turquoise des Caraïbes mexicaines.
Et voici les bateaux prêts, qui nous attendent !
Pendant le trajet pour atteindre notre destination, le « Récif INAH », nous avons traversé plusieurs endroits incroyablement beaux, comme une plage d'un bleu turquoise, si intense qu'elle donne envie d'y entrer.
Plus tard, nous sommes passés devant le nouveau Xcaret Art Hotel où nous avons pu admirer une vue impressionnante.
Juste à côté se trouve le parc Xcaret où vous pourrez voir la célèbre tour ; On peut également le voir depuis l'autoroute qui va de Cancún à Tulum. À propos, j'ai également des billets pour tous les parcs du groupe Xcaret qui sont moins chers qu'au box-office. Ici vous pouvez voir les prix.
Et enfin ! Nous sommes arrivés à notre destination, El Arrecife INAH.
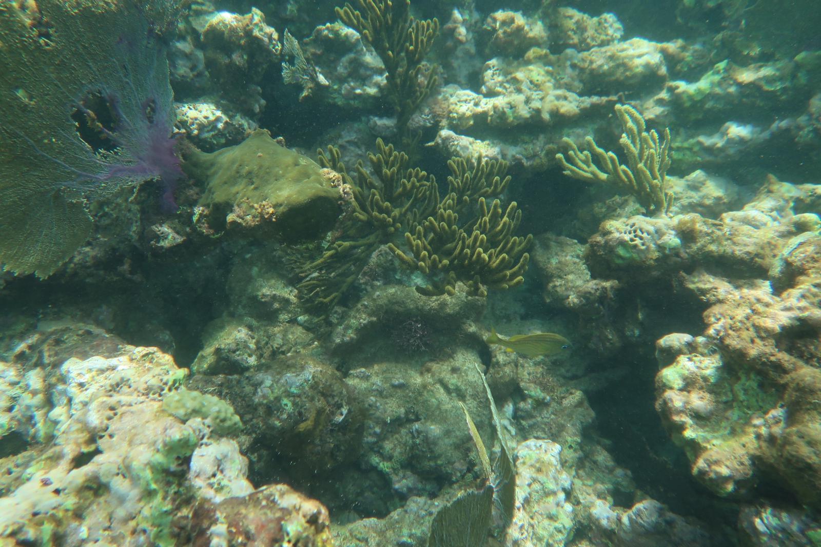
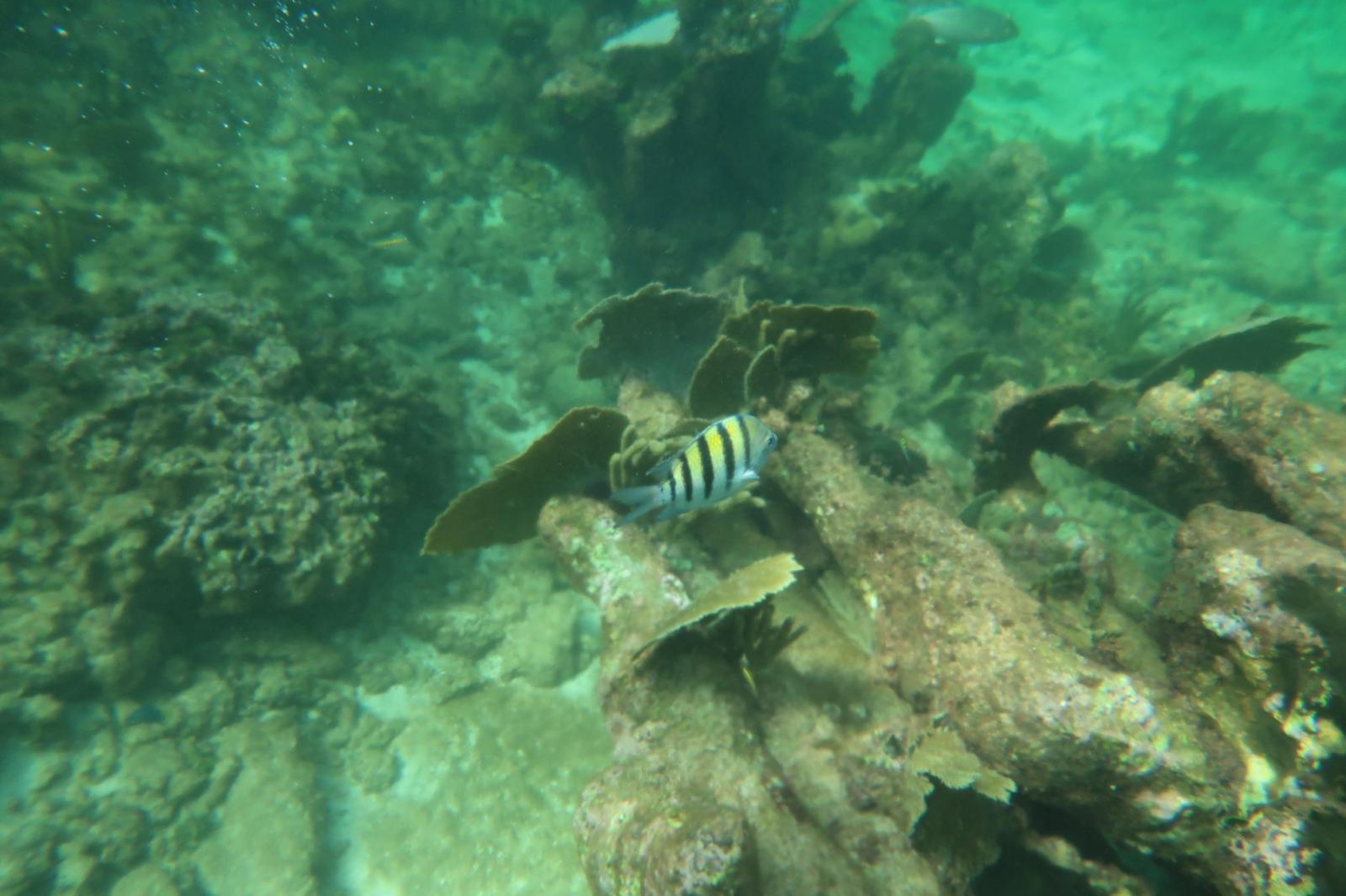
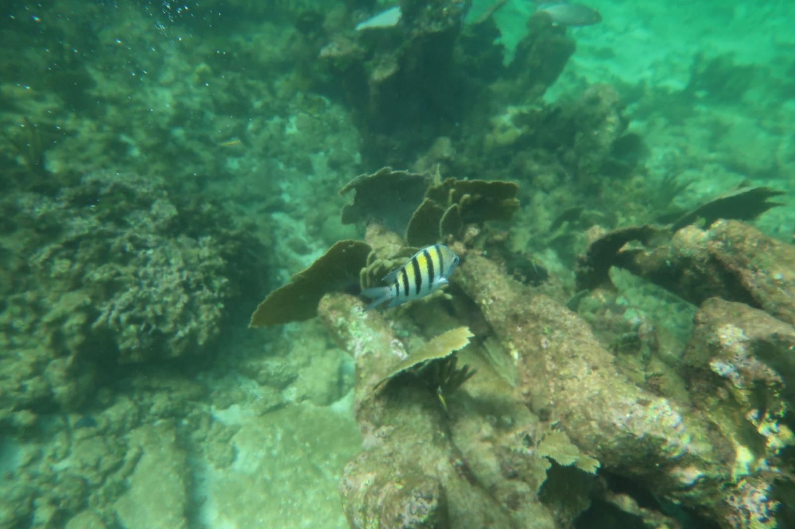
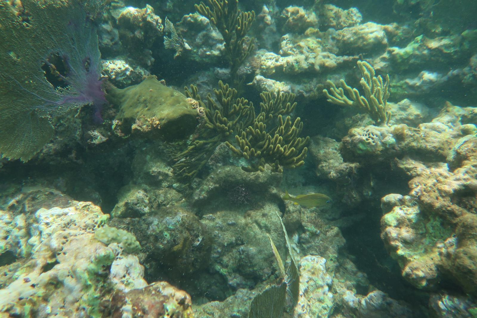
Une fois arrivés, nous enfilons l'équipement de plongée en apnée pour entrer dans l'eau et profiter de cette merveilleuse expérience sous-marine que l'on ne peut vivre que dans ces endroits. Canards à l'eau !
Je partage ici quelques photographies de cette magnifique aventure.
Une fois la plongée en apnée terminée, nous nous sommes dirigés vers un cénote caché dans cette même zone. Il faut marcher un peu pour y arriver ; mais croyez-moi, cela vaut vraiment la peine de visiter cet endroit merveilleux.
Nous sommes arrivés !
Profitez de la vue depuis un endroit aussi spectaculaire !
Après cette expérience incroyable, nous sommes revenus exactement de la même manière que nous sommes partis.
A notre retour, nous nous rendons compte qu'il y a de nombreux bateaux dans cette zone, car elle est très visitée pour ses belles eaux turquoise et ce magnifique récif.
Je partage avec vous une galerie d'images en général de ce qui a le plus retenu mon attention dans cet incroyable voyage.
Les images et vidéos présentées dans ce blog sont prises par Richaard et les personnes qui ont apprécié cette tournée. Il convient de mentionner que voir les photos et les vidéos n’est pas la même chose que d’en faire l’expérience directe. Alors, course, je vous invite à vivre cette merveilleuse expérience, avec la garantie qu'elle sera inoubliable !
Et vous pouvez l'acheter ici, puisqu'il bénéficie de ma garantie.
Je vous laisse le lieu exact du départ.
Départs quotidiens à 8h00
Des questions, je suis à votre service.
Cette visite nous a coûté 800 pesos par personne et comprend :
- 12 bouteilles d'eau de 600 ml.
- 12 boissons gazeuses en canette de 355 ml.
- Équipement de snorkeling (gilet, visière, tube et palmes) ; tout est correctement désinfecté.
- Visite guidée par un guide certifié.
- Vous pouvez apporter ce que vous voulez en dehors de ce qui est inclus (bières, ratatouille, nourriture, etc.).











































