This tour starts at a beach known as “El Recodo”; not because the band plays there, but because the bay has that natural shape and there are many boats anchored there to go out and practice various activities. (Photo taken from the Constituyentes pier to locate said beach. The beach where this tour departs is located in the center of the image to the right, behind the white building that is in the foreground in this photograph).
We arrived on 14th Street North to start this great experience that we lived as a group on this wonderful tour through the beautiful turquoise waters of the Mexican Caribbean.
And here are the boats ready, waiting for us!
During the journey to reach our destination, the “INAH Reef”, we passed by several incredibly beautiful places, such as a turquoise blue beach, so intense that it makes you want to go in there.
Later, we passed in front of the new Hotel Xcaret Art where we enjoyed an impressive view.
Right next door is Xcaret Park, where you can see the famous tower; you can also see it from the road that goes from Cancun to Tulum. By the way, I also have tickets for any Xcaret Group Park that are cheaper than at the box office. You can see the prices here.
And finally! We have arrived at our destination, INAH Reef.
Once we arrive, we put on our snorkeling gear to get into the water and enjoy this wonderful underwater experience that you can only experience in these places. Get in the water, ducks!
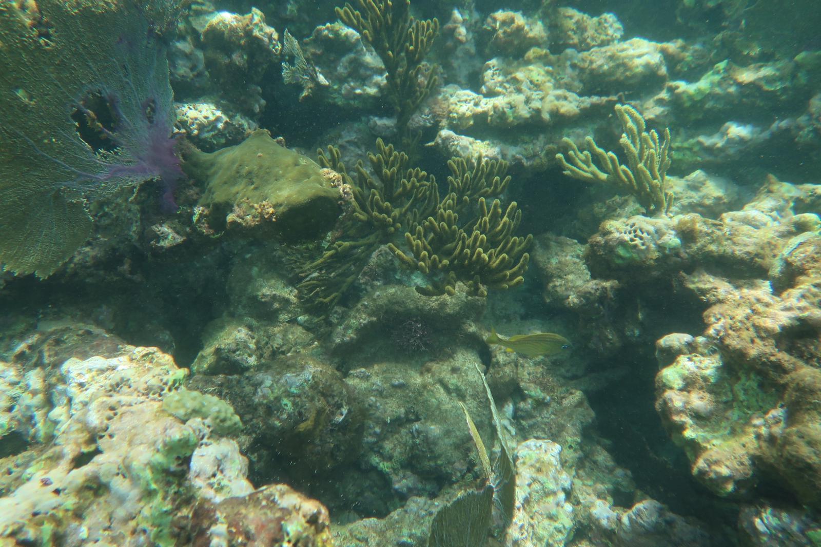
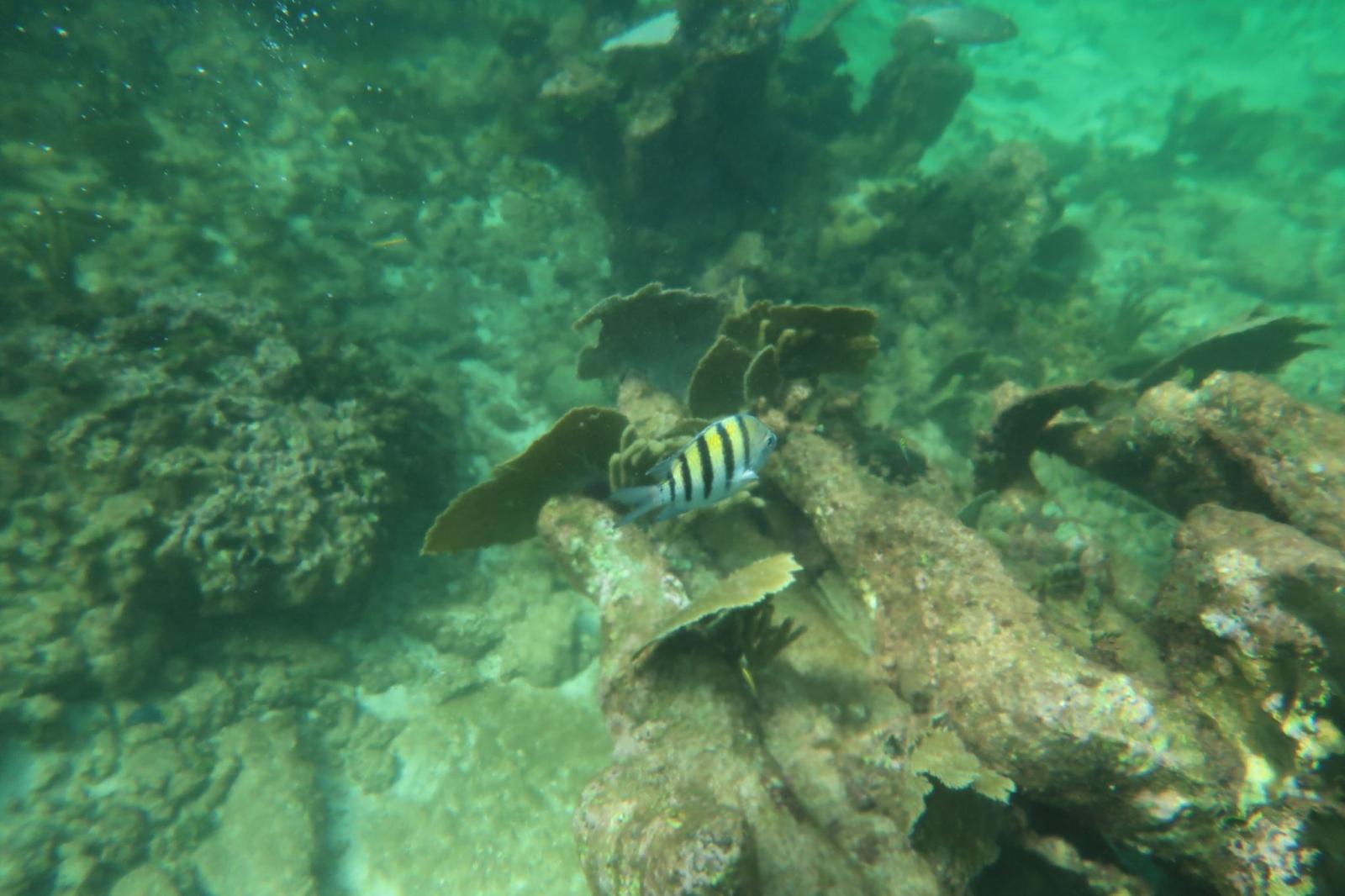
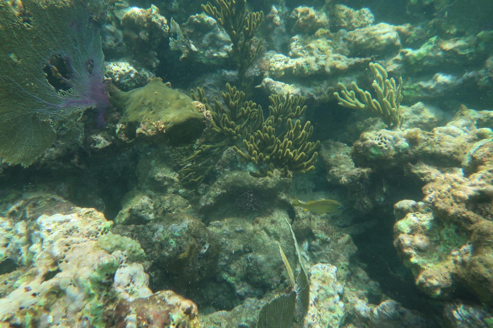
Here I share with you some photographs of this magnificent adventure.
Once we finished snorkeling, we headed to a hidden cenote in this same area. You have to walk a bit to get there, but believe me, it is well worth visiting this wonderful place.
We have arrived!
Enjoy the view from such a spectacular place!
After this incredible experience, we returned along the same path from which we left.
Upon our return, we realize that there are many boats in this area, as it is very visited for its beautiful turquoise waters and this wonderful reef.
I share with you a general gallery of images of what caught my attention the most during this incredible journey.
The images and videos shown in this blog are taken by Richaard and the people who enjoyed this tour. It is worth mentioning that seeing the photos and videos is not the same as experiencing it first hand. So, guys, I invite you to live this wonderful experience, with the guarantee that it will be unforgettable!
And you can buy it here, since it has my Guarantee.
I'll leave you the exact location for the departure.
Daily departures at 8:00am
If you have any questions, I am at your service.
This tour cost us $800 pesos per person and includes:
- 12 bottles of 600ml water.
- 12 355ml cans of soft drinks.
- Snorkeling equipment (vest, mask, snorkel and fins); all properly sanitized.
- Tour led by a certified guide.
- You can bring whatever you want to drink apart from what is included (beers, ratatouille, food, etc.).











































